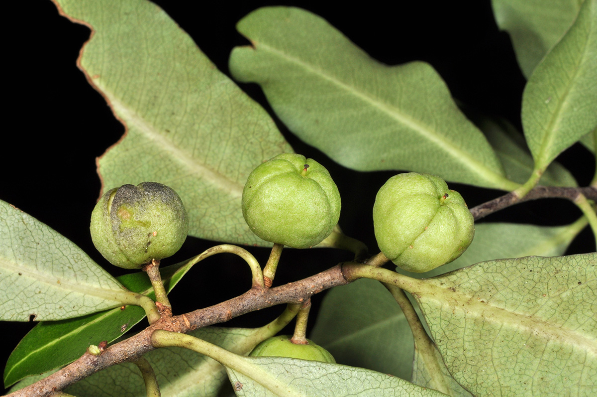
Pittosporum tenuifolium
Pittosporaceae
Fruits
New Zealand: South Island : Otago
Geo--coordinates: (44 29 31.94 S, 168 43 27.13 E)
Wanaka, Mount Aspiring National Park, Rob Roy Track; coordinates of general area
Date: 6-May-19
CUBIC 142039.
OWNER: P.B. Pelser © 6-May-19
TERMS OF USE
(uploaded by pelserpb)
ANNOTATIONS
Pittosporum tenuifolium